RNAV GPS A Langley Airport

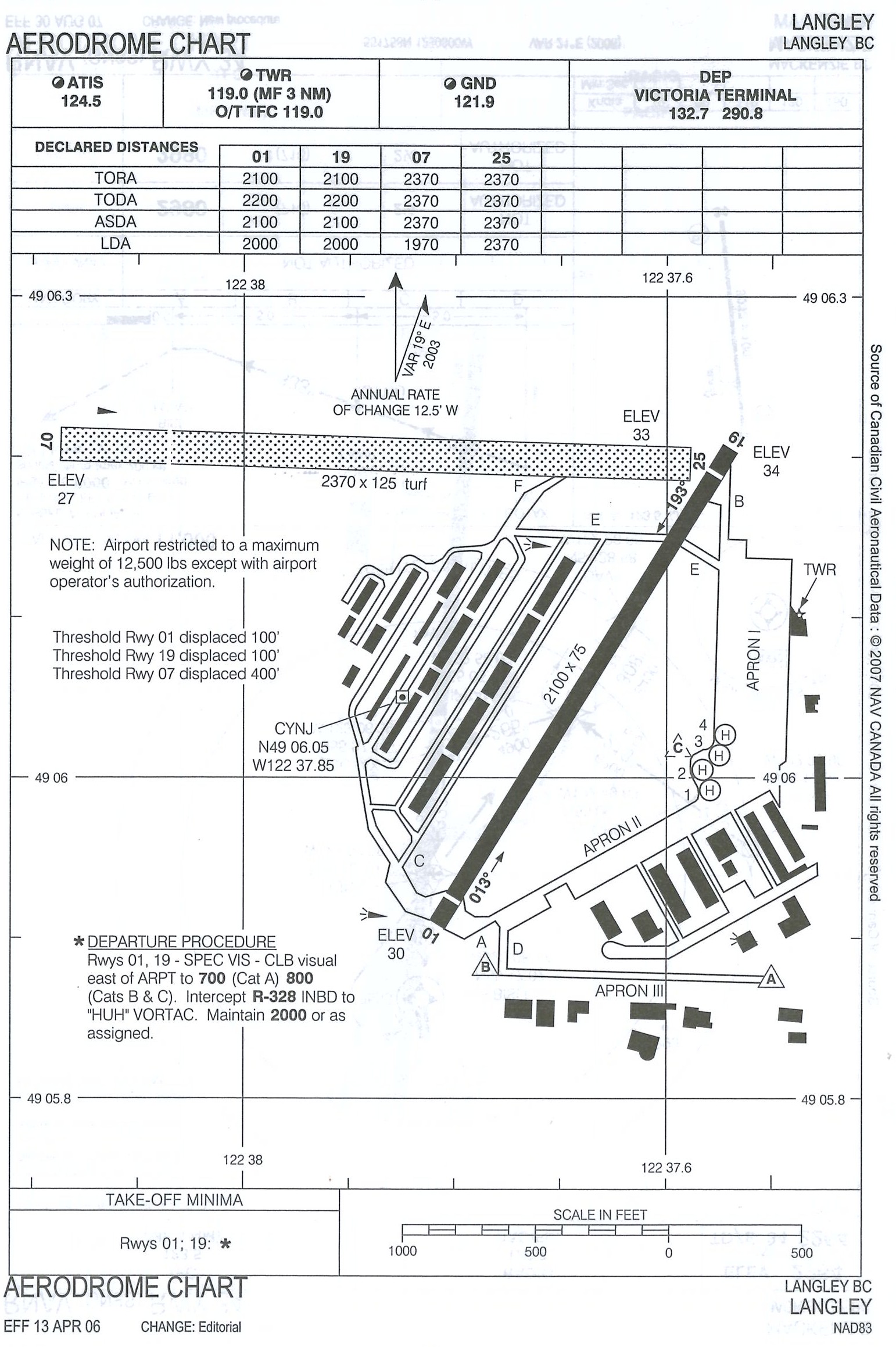
Aerodrome Chart, Langley Airport